Ничего подобного не видели прежде: амурская тигрица с детенышами удивила ученых (видео)»>
Амурскую тигрицу впервые в истории заметили с пятью детенышами | Northeast China Tiger and Leopard…
Никак не давало покоя ученым: почему обнаруженное захоронение женщин такое необычное (фото)»>
Недавние археологические работы в Уэльсе пролили новый свет на средневековое захоронение | BBC Недавние археологические…
Что-то странное происходит в Амазонии: Земля не видела такого десятки миллионов лет»>
Амазония переходит в гипертропическое состояние, и это плохие новости | Shutterstock Исследователи предупреждают, что Амазония…
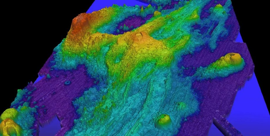
Пропавший в Антарктиде робот вернулся спустя 9 месяцев: принес данные, которые ужасают»>
Ученые исследовали одно из самых труднодоступных мест Антарктиды | Threads Антарктический эксперимент австралийских ученых пошел…
Назван самый необычный кролик в мире: живое ископаемое готического вида (видео)»>
Амамиский кролик считается живым ископаемым | Shutterstock Исследователи рассказали о Амамиском кролике, который выглядит будто…
В Антарктиде способно выжить лишь одно насекомое: его застукали за поеданием пластика (фото)»>
В Антарктиде способно выжить лишь одно насекомое | Australian Antarctic Division Исследователи только что обнаружили,…
Сомнения вместо оптимизма: ученые обнаружили неожиданную формулу успеха»>
Ученые раскрыли секрет того, как достигать целей | Pexels В конце года люди ставят себе…
В 2026 году Землю ждет извержение огромного вулкана: где находится гигант»>
Самый активный вулкан Тихого океана извергнется в 2026 году | National Oceanic and Atmospheric Administration…
Эффективные способы борьбы с похмельем найдены: список секретных продуктов»>
Ученые назвали лучшие блюда для борьбы с похмельем | Freepik Исследователи назвали действенные способы борьбы…